Schnorcheln mit Mantas

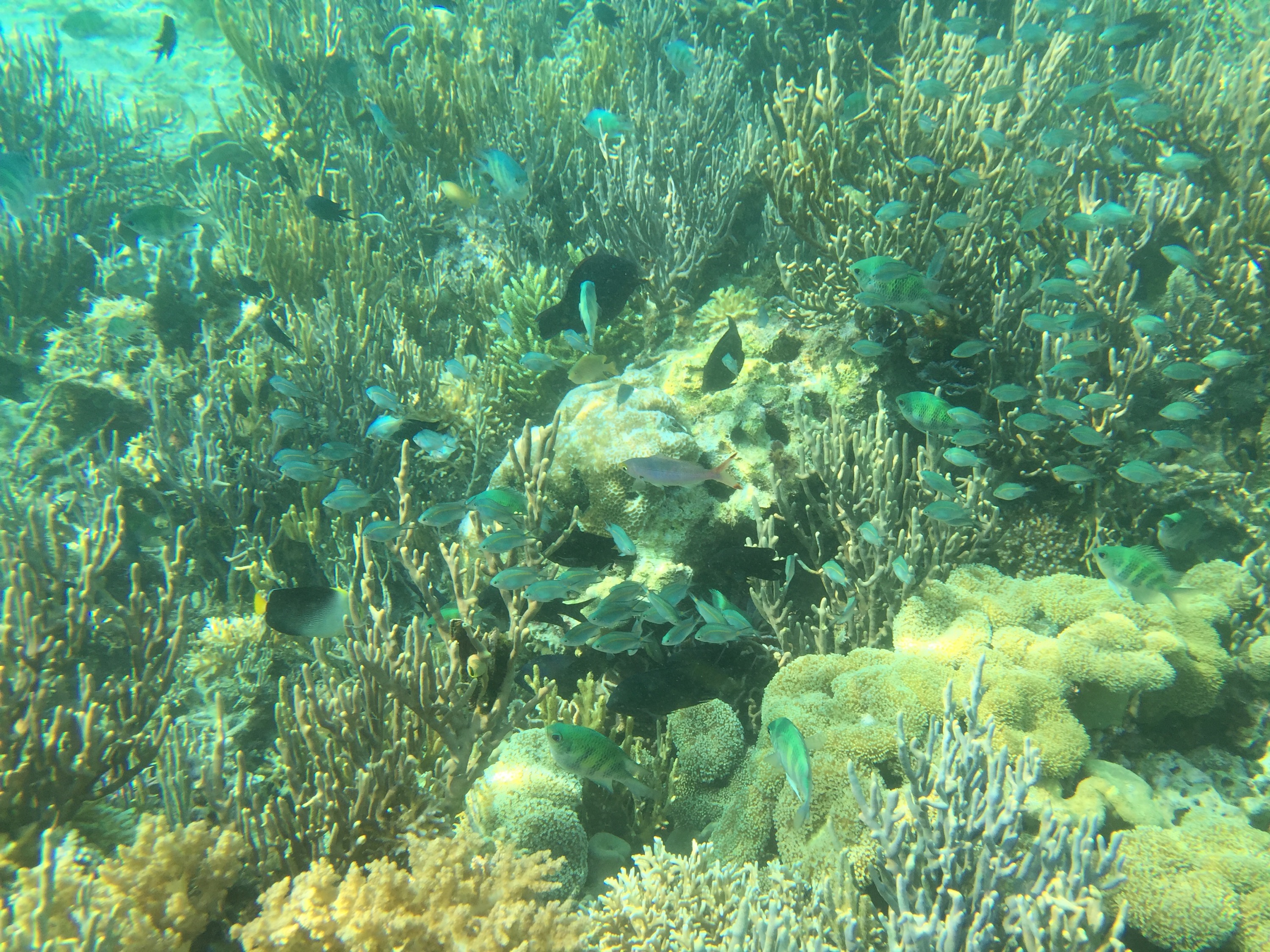
Nach unserem Ausflug nach Rinca sind wir noch schnorcheln gewesen. Zuerst haben wir an einer Stelle gehalten bei der man Schildkröten sehen kann. Und tatsächlich sind uns zwei unter Wasser begegnet. Aber Schildkröten sind bei weitem nicht alles, was man hier finden kann. Man springt ins Wasser und plötzlich ist alles voller Fische und Korallen. Leute, die schon länger in der Gegend tauchen, scherzen über die “Fischsuppe”.  Nach den Schildkröten sind wir dann zu einer Stelle gefahren, die man Manta Point nennt. Naja, es ist nicht schwer zu erraten, was wir dort gefunden haben. In etwa fünf bis sieben Metern tief sind zwei Mantas auf der Suche nach Plankton gekreist. Der größere der beiden hatte bestimmt eine Flügelspannweite von drei Metern. Er war so groß, dass Jörg zuerst dachte es sei der Schatten des Bootes. Wir sind dann mehrmals zu den Mantas heruntergetaucht, um ein paar Sekunden mit ihnen zu schwimmen. Das ist schon sehr beeindruckend, wenn so ein Riese auf einen zukommt und dann drei Meter vor einem abdreht.   Die unglaubliche, marine Vielfalt kommt daher, dass hier der Indische Ozean und der Pazifik aufeinander treffen. Der Pazifik vor Indonesien ist angeblich etwa 15cm höher als der Meeresspiegel, der Indische Ozean etwa 15cm tiefer — liegt anscheinend an den Passatwinden und an den davon beeinflussten Meeresstörmungen. Diese 30cm Höhenunterschied verursachen die größte Wasserbewegung des Planeten, der sogenannte Indonesian-Throughflow. Das Ganze wirkt sich dann ziemlich positiv auf den Nährstoffgehalt und Verteilung von Korallen und Fischen aus.

BTW: Die Korallenriffe kann man ziemlich gut aus der Luft sehen. Die Insel auf dem Luftbild ist eigentlich nicht bewohnt, bis auf kleines Resort. Dort haben wir die letzten Tage verbracht. Und zwar ganz oben rechts am Zipfel.